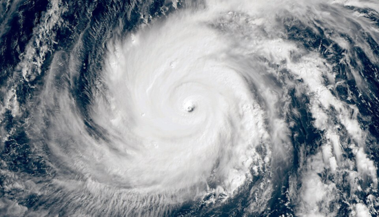
Severe weather events often make global headlines, but many people still use terms like hurricane, cyclone, typhoon and tornado interchangeably. Although they may seem similar, each one forms differently, behaves differently and strikes different parts of the world. Understanding these distinctions helps us make sense of global weather and recent events like Cyclone Ditwah in Sri Lanka.
A hurricane is a large, rotating storm system that forms over warm waters in the Atlantic or northeastern Pacific, bringing high winds, heavy rain and storm surges. A tornado, by contrast, is far smaller but extremely intense: a tight spinning column of air that forms over land and can destroy buildings in minutes.


The terms typhoon and cyclone refer to storms similar to hurricanes but located elsewhere. Typhoons occur in the northwestern Pacific near East and Southeast Asia, while cyclones develop over the Indian Ocean and South Pacific. All three are tropical storms powered by heat and moisture from warm seas; the name simply depends on where they form.


A monsoon is not a storm but a seasonal wind system that brings months of rain, especially to South Asia. Countries like India and Sri Lanka depend on monsoon rainfall for agriculture while also preparing for floods and landslides.

Sri Lanka’s experience with tropical storms makes these distinctions especially relevant today. Cyclone Ditwah, which struck the island in 2025, brought widespread flooding, landslides and severe damage across multiple districts, an event that echoes earlier emergencies such as the 1978 cyclone, the 2003 floods and the recurring monsoon disasters that shape the country’s climate story.
From massive ocean storms to small but violent tornadoes, and from seasonal monsoon rains to destructive cyclones, each phenomenon highlights the power and unpredictability of the Earth’s atmosphere. Understanding these forces helps communities prepare, adapt and remain resilient when nature turns intense.
The fares charged for transporting schoolchildren will be increased by 5% due to the increase in diesel prices, the All Island Schoolchildren…
Read MoreRead • Watch • Learn At a time when many conversations around the world are reflecting on the journeys, struggles, and achievements…
Read MoreOrganisations must invest in comprehensive workplace training to strengthen sales and marketing teams and drive sustainable business growth, according to professional marketing…
Read MoreHorizon College International (HCI) proudly hosted its Annual Awards Ceremony on the29 th January 2026 at the NIIBS Convention Centre, in a…
Read MoreSri Lankan nationals have been invited to apply for 200 fully funded scholarships offered by the Government of India for undergraduate, postgraduate and PhD…
Read More